Wildpflanzen

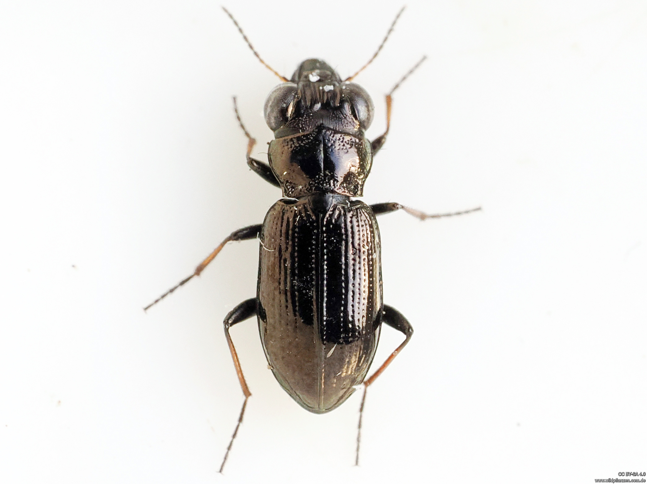
Notiophilus palustris - germinyi / Eilkäfer

Adephaga, Caraboidea, Carabidae, Nebriinae / Laufkäfer
  • Notiophilus palustris - germinyi
  • Notiophilus palustris - germinyi
7.2025 / Milaseen, Brandenburg